professional 
approach to property

HS167 - Opportunity ! Prime commercial property for sale at Phoenix along the Curepipe - Saint Jean Main Road

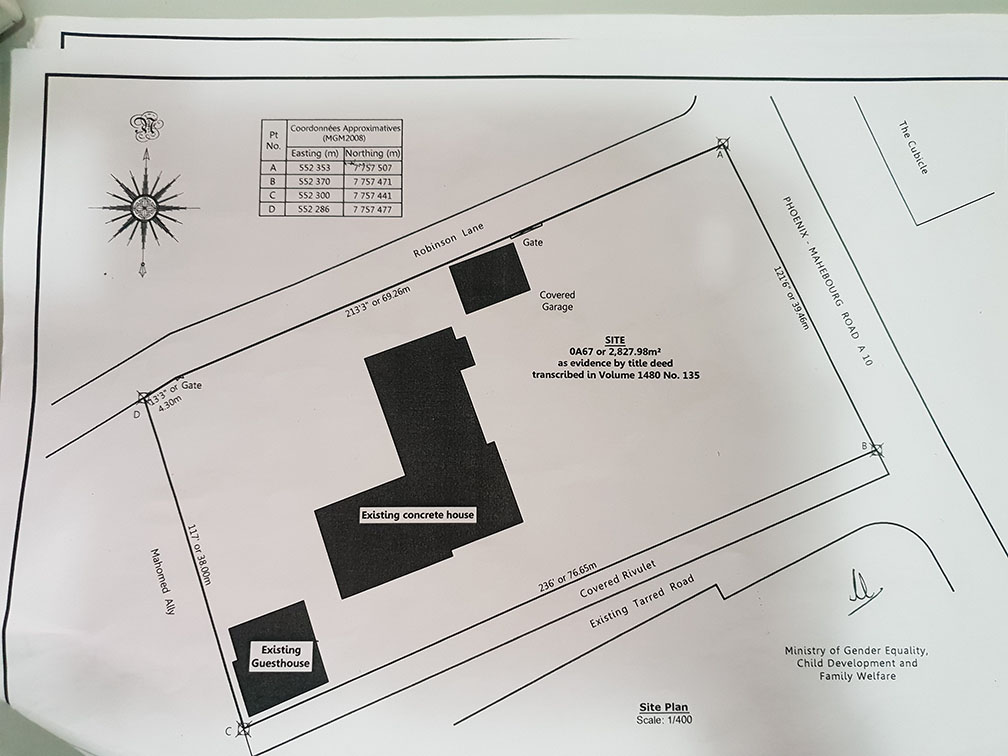
This prime commercial property is of a total extent of 67 perches or 2,527.98m2 on which stands a concrete house, a guest house and a covered parking is situated at the corner Phoenix Royal Road and Robinson Road. with interesting frontages.

The concrete executive house has a covering floor area of 3,929 sq ft.

The concrete guesthouse covers a floor area of 868 sq ft.

A covered parking for 2 vehicles of a floor area of 501 sq ft or 46.5m2.

The region is a highly commercial area opposite The Cubicle business Centre and the Hamedo Car plaza and within close vicinity Supercash and all facilities such as Commercial shops ,banks ,supermarkets,restaurants are readily accessible.

Such opportunities along the main royal road are rare and is centrally and ideally located for business office.

Easy access from all regions.

Parking facilities for 25 vehicles minimum

Wise investment.

Selling price revised from Rs 40m to Rs 37m

Don't miss this one.

Call us now on mobile 59192275 for a viewing.